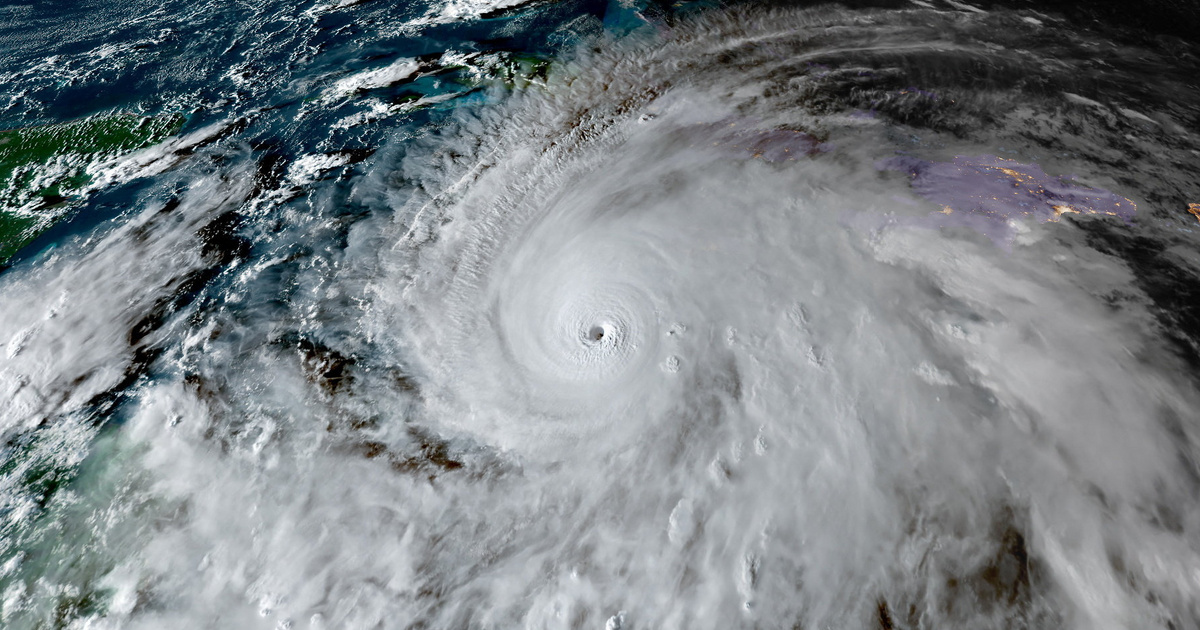
A Melissa hurrikán közelít Jamaicához
Óránként 282 kilométeres széllökésekkel érkezik a Melissa hurrikán, amely várhatóan pusztítást okoz a karibi szigetországban. Az amerikai meteorológusok „katasztrofális és életveszélyes” körülményekről beszélnek, miközben a hatóságok tömeges evakuálást rendeltek el a lakosság védelme érdekében.
Rekord erejű vihar
A Melissa hurrikán a valaha mért legerősebb viharnak számít Jamaicán. Az amerikai Nemzeti Hurrikán Központ (NHC) legfrissebb adatai szerint a vihar már három ember halálát okozta Haiti és a Dominikai Köztársaság területén, mielőtt elérte volna Jamaikát. Az alkalmanként 282 kilométeres széllökések miatt a vihar elérte az ötös kategóriát a hurrikánok osztályozásában.
Veszélyes időjárási körülmények
A következő négy napban akár száz centiméter csapadék is hullhat, ami halálos áradásokhoz és földcsuszamlásokhoz vezethet. Jamie Rhome, az NHC helyettes igazgatója figyelmeztetett, hogy a lassú mozgású hurrikán rendkívüli csapadékmennyisége jelentős károkat okozhat Jamaicán, különösen mivel a talaj már telítve van az egész hónapban tartó csapadék miatt.
A jamaicai kormány intézkedései
Andrew Holness jamaicai miniszterelnök azonnali evakuálást rendelt el, aktiválva 881 menedékhelyet, amelyek mindegyike ingyenesen áll a lakosság rendelkezésére. Holness kijelentette, hogy „nem hiszem, hogy létezik olyan infrastruktúra ebben a régióban, amely képes lenne ellenállni egy ötös kategóriájú viharnak”, így jelentős károkra számít. A miniszterelnök térden állva imádkozik az országért, és kapcsolatban áll a világ vezetőivel, mivel úgy tűnik, az egész világ imádkozik Jamaicáért.
Problémák már előttünk
A hurrikán már eddig is több áldozatot követelt a térségben. Haitin legalább három ember halt meg, és több száz otthon került víz alá a heves esőzések miatt. A vihar a jövőben tovább súlyosbíthatja a helyzetet, ahogy a sziget területén a legrosszabb körülményekre készülnek.
Forrás: index.hu/kulfold/2025/10/28/jamaica-hurrikan-eletveszely-aldozatok-vihar/
